Loading...
海 富 瑜
海兔及其他海洋生物非专业网站
会员中心
注册
登录
首页
生物
其他生物
余下无脊椎动物
珊瑚等原始动物
海洋鱼类
海螺和海贝
海兔和扁虫
记录
潜水日记
海钓日记
其他活动
会员
注册
登录
会员作品
其他
标本管理
其他相册
新发现物种国际认证
世界各国海兔
大湾区海生物图谱
搜索
返回上一页
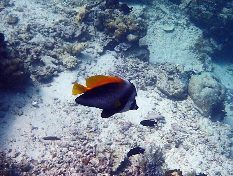
鬼面刀
喜用名:鬼面刀
其他名:花关刀、魔鬼关刀
英文名:Singular bannerfish
学 名:Heniochus singularius
拍摄日期:
2016年2月27日
拍摄地或备注:
马来西亚仙本那
拍摄人:
仇东平
潜点\潜导:
鬼面刀
发表时间:2020-09-09 15:58:53
拍摄日期:
2016年2月27日
拍摄地或备注:
马来西亚仙本那
拍摄人:
仇东平
潜点\潜导: