开/关-资料
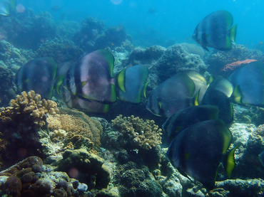
喜用名:黑脚石鲳
其他名:波氏燕鱼、圆眼燕鱼、圆燕鱼、蝙蝠鱼、圆海燕,圆蝙蝠、长鳍蝙蝠、黑鳍石鲳
英文名:Golden spadefish
科学名:Platax boersii
其他:石鲳有几个品种,南方海边鱼民都叫一个民,石鲳。另,石鲳成鱼和幼鱼差别很多大,幼鱼翅膀如蝙蝠,故也叫圆蝙蝠。幼鱼浅黄色或银黄色,有三条褐色至黑色的条纹,背鳍、腹鳍、臀鳍夸张的延长,尾鳍透明,暗淡的颜色可以让它们很好的隐藏在珊瑚丛的阴影中,外观与尖翅燕鱼Platax teira的幼鱼相似,但是尖翅燕鱼的幼鱼体色为银色,同时延长的背鳍和臀鳍更宽更飘逸。
其他名:波氏燕鱼、圆眼燕鱼、圆燕鱼、蝙蝠鱼、圆海燕,圆蝙蝠、长鳍蝙蝠、黑鳍石鲳
英文名:Golden spadefish
科学名:Platax boersii
其他:石鲳有几个品种,南方海边鱼民都叫一个民,石鲳。另,石鲳成鱼和幼鱼差别很多大,幼鱼翅膀如蝙蝠,故也叫圆蝙蝠。幼鱼浅黄色或银黄色,有三条褐色至黑色的条纹,背鳍、腹鳍、臀鳍夸张的延长,尾鳍透明,暗淡的颜色可以让它们很好的隐藏在珊瑚丛的阴影中,外观与尖翅燕鱼Platax teira的幼鱼相似,但是尖翅燕鱼的幼鱼体色为银色,同时延长的背鳍和臀鳍更宽更飘逸。